FSA Approved 2024

Copyright © 2026 Woodvalley Vineyards Ltd

All enquiries to: info@woodvalleyvineyards.co.uk

Woodvalley Farm, Outwood Common Road, Billericay, Essex CM11 1ET

This website is hosted by Hostinger.com using 100% renewable energy

Members of The Great British Vineyard Guide

Supporters of the Soil Association

Sponsored by

Alden Rose, Billericay

 www.aldenrose.co.uk

Low Energy Building Design

Home About Us Gallery Our Wines Blogs & More Events 

Members of WineGB

WELCOME

Welcome to Woodvalley Vineyards:

A New Chapter in Billericay’s Landscape

Nestled opposite the ancient Norsey Woods in Billericay, Essex, our 3-acre vineyard is more than rows of vines — it’s a living, breathing landscape. Guided by nature, every corner of our land tells a story of regeneration, biodiversity, and the promise of exceptional English wine.  

Our vineyard is rooted in heritage and shaped by the future — a space where sustainable winemaking meets the beauty of the South Essex countryside. We’re proud to be Billericay’s first vineyard, and we can’t wait to raise a glass with you!

Woodvalley

V   I   N   E   Y   A   R   D   S

BILLERICAY

THE VINEYARD

With one of the highest vantage points in the South of Essex, our vineyard offers stunning views across the Thames Estuary and to the borders of Kent. Woodvalley Vineyards is proudly owned and cared for by “Four Non-Farmers” - four local residents from non-agricultural backgrounds, united by a passion for both wine and the landscape of Billericay.

Every vine is tended by hand, with the year shaped by the natural cycle of the vineyard. In January we prune, carefully shaping the vines for the season ahead. Through spring and summer we nurture their growth, guiding each plant towards the October harvest.

As winter arrives, the vines fall dormant, but the work never truly stops — from maintaining trellises to caring for the land, there is always something to be done every day of the year. We hope that our hands-on approach will ensure that every bottle reflects not only the place, but the people who steward it.

            The People

Behind every vine and every wildflower are four neighbours and friends who share the same vision: to grow something meaningful in the heart of Billericay. We are not a distant company, but local people working with our own hands, season after season.

For us, Woodvalley Vineyards is not just about wine, but about community, stewardship, and leaving a lasting legacy for the landscape we call home.


             The Wine

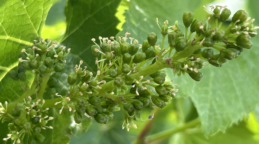
We are cultivating an even mix of Pinot Noir and Chardonnay, two classic grapes with the potential to produce elegant English wines of character, both still and sparkling varieties.  This year we are planting some Pinot Meunier, the third ingredient to make a traditional sparkling which we hope could eventually rival some of the UK’s biggest names.

Our first small harvest took place in September 2025, with a lively rosé released in May 2026. Each bottle will embody the story of our land — the soil, the seasons, and the care poured into every step of the journey.

Visit the Our Wines page to find out more.

Follow us on Facebook:

🍇   Our Vines

We’re currently nurturing 3 acres of Pinot Noir and Chardonnay, chosen for their ability to capture the unique character of our site. Every plant is cared for by hand, with an approach that builds healthy soils, respects the environment, and produces grapes of true expression. In 2026 we have added Pinot Meunier, the third essential ingredient to make a home-grown sparkling wine.


🦋   A Haven for Wildlife

Alongside our vines, we’ve planted over 100 metres of wildflower meadows, bursting with colour and buzzing with life. The meadows are already home to bees, butterflies, and even the rare Wall Brown butterfly, while the vineyard itself shelters ladybirds, shield bugs, and crickets. By using organic products and regenerative farming techniques, we’re creating a landscape where wildlife thrives alongside viticulture.


🍷  First Harvest – A New Chapter

2025 marked our first small harvest, the beginning of our winemaking journey. Our début traditionally-made sparkling wine is maturing carefully in the Nene Valley Winery in Northhampton before release in February 2027, and our début Pinot Noir Rosé will be launched in May 2026 ready to share the flavours of Billericay’s landscape in every glass.


📖    Join Our Journey

Woodvalley Vineyards is still young, but it’s growing with every season. We invite you to follow our story — from the first wildflowers to the first bottles of wine.  2026 is going to be an exciting year for us, with the release of our first wine, as well as planting a new grape variety, Pinot Meunier - the third ingredient for a traditional sparkling.

Did you know?

1 acre of vines can produce

4000 bottles of wine

EVERY YEAR

View our Gallery Here

BIODIVERSITY & CARBON CAPTURE

          Biodiversity

Farming with beneficial insects, we are aiming to create a biodiverse and ecological vineyard, a natural haven for many species of wildlife.  The wildflower meadows have already attracted various species of bees, butterflies, moths and insects over the last few years.  

The Wall Brown butterfly, (Lasiommata megera), a priority species under the UK Biodiversity Action Plan (BAP) and on the GB Red List has been sighted in our vineyard annually since 2023, including two sets of mating pairs in July 2025.

Our Gallery page has lots of fabulous pictures of the incredible insects, flora and fauna, take a look below.  


          The Environment

According to recent studies by the UK’s Natural Environment Research Council our young vineyard is currently calculated to sequester around 5 tonnes of carbon from the atmosphere every year increasing to almost 8 tonnes by 2027 at maturity, creating a local Carbon Sink.  

Carbon dioxide is absorbed through all parts of the vines from the atmosphere and deposited into the soil where it is stored safely, a crucial role in combating Climate Change which also improves general soil conditions.  

Caring for the environment, we try to use natural products to protect the soils and wildlife, feeding our vines a natural seaweed mix throughout the year - a “Redbull” for vines.

We Hope You Will Follow Our Journey:


Facebook (Woodvalley Vineyards)



Instagram (Woodvalleyvineyards)



Pinterest (Woodvalleyvineyardsbillericay)

Did you know?

1 hectare of vines can remove

6.53 tonnes of carbon

from the atmosphere

EVERY YEAR

Pond Restoration Work Update

You may have noticed that our site contains an old pond close to our entrance. It first appears on maps from the late 1800s, likely created to serve the working farmland that once occupied the site. Following the farms closure by the early 1900s, the pond gradually declined and lost its ecological function. We are now carefully restoring this historic feature, guided by ecological surveys and advice, to create a new wildlife pond. In time, it will form part of a richer, connected habitat network linking through to Norsey Woods. Follow the blog here